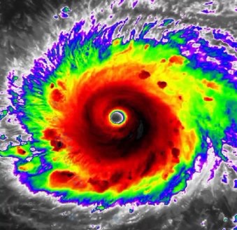
劳动节长周末刚过,佛州人民还沉浸在德州人民惨遭飓风哈维袭击后的叹息震惊中,就看到一个更凶猛的大红球从加勒比海以185迈的风速冲着整个佛罗里达扑过来。

我们自到南佛州这么多年来,每到飓风季节,就听到无数关于92年魔鬼飓风安德鲁袭击后的种种惨状。据说,安德鲁经过的路径没有一棵树是立着的。很多抗风差的房子屋顶都飞了。一位老先生说他的房子,打开门,里面像是没有顶盖的电影布景。飓风时也会参杂龙卷风,他家的沙发被卷到邻居的后院去了。水停了2天,电停了2周。有朋友全家四口顶住最后一扇门不让风进来。那会是怎样一种终身难忘的恐怖经历!

这是当年安德鲁飓风袭击迈阿密南部城市Homestead 后的情景
南佛州在上世纪70和80年代经历人口大增长,也导致大量房屋建筑为求快而牺牲质量。安德鲁重创之后,城市的 Building Code 在抗飓风上渐渐地完善严格起来。到2002年,所有新盖的房子从屋顶到门窗到地基都必须符合抗飓风的要求。当然,这些号称可以抗飓风的门窗都是在实验室里测试的,真正考验它们的是这匹来者不善、比魔鬼安德鲁还可怕的恶马!
家里领导很少出差,偏偏那几天恰巧出差,原定周三早上才能回家。作为一枚顾家男,人家果断改票,周二半夜风尘仆仆地赶回来了。
根据预报,周六飓风会登陆佛州,周三,中小学校继续上课,大学先放假赶人,周四起全面放假。周三时很多人开始出逃了,飞机票吃紧暴涨,也有很多人准备开车走,边走边观望飓风路径,剩下很多人准备留守。女儿强烈要求飞走,领导坚持开车观望。经历了这么多年飓风的来来往往,我们对飓风没有像刚开始那么恐慌。大多数经过佛州的飓风会向东或向西偏了。但是,直到周三晚上8点飓风中心出来的预报图,都显示恶马这次是卯足了劲向佛州东南部冲击登陆,而且覆盖整个佛州半岛向北移动。领导一声令下,我们跑吧!
白天,我们已经加好了油,把其中一辆车放到公用二楼车库里。把家的前前后后该收拾的收拾,该加固的加固,打包每人3-4天的衣服,小狗的食物。用Costco新买的折叠cooler把冰箱里能带上的都放进去了,发现女儿提前在冻箱里冻好了几瓶矿泉水,当作冰块使用,有时她还挺心细!最后一刻,我们想起来得带上小狗的床和它的如厕用具。夜里10点,黑暗中匆匆告别了我们的窝,和留守的隔壁邻居互道保重之后,出发了!我问领导,今晚住哪儿?不知道,走到哪儿累了,就停下来休息。只定了周六到亚特兰大的旅馆。这,有点不靠谱吧?!
待续!
你们可以一直北上,到了陕北就停下来,在那里闹革命:)